/stackumbrella/media/media_files/wp-content/uploads/2023/04/The-Biggest-Cyclone-In-The-Decade-1.jpg)
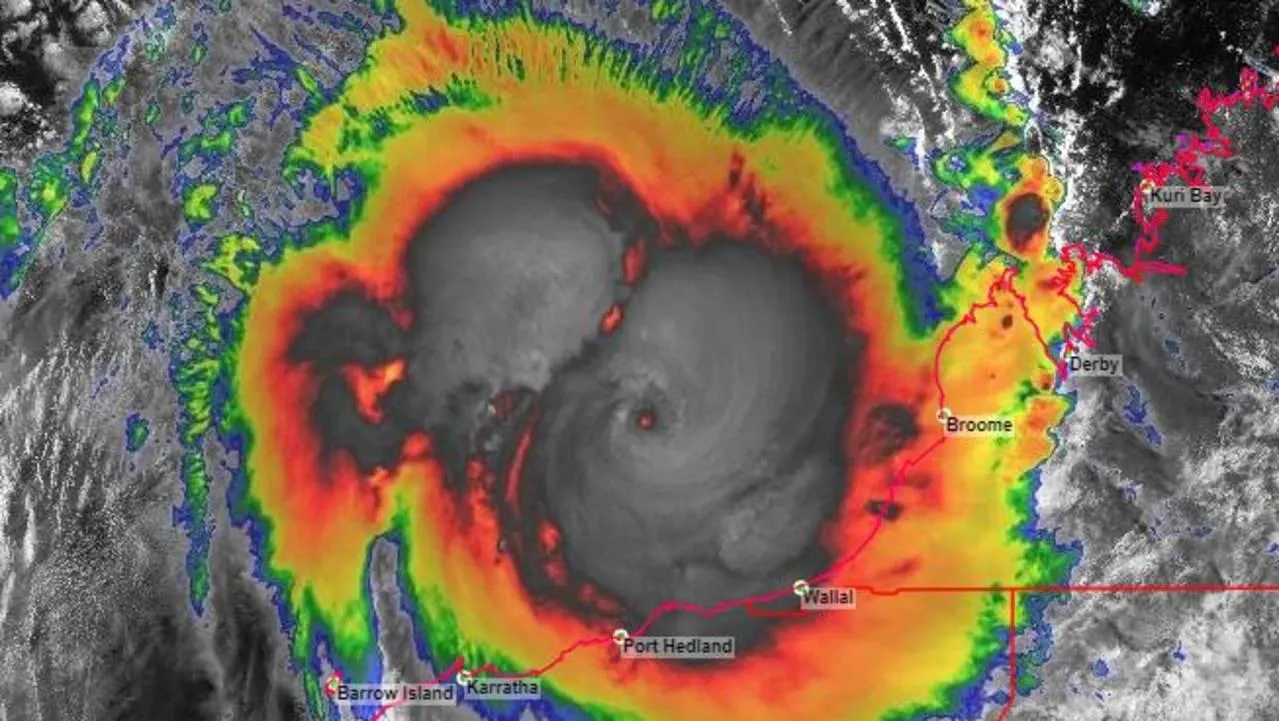
Cyclone llsa burst into a remote area of the coast in Western Australia at midnight on Thursday. The cyclone had a wind speed that broke the record of the past ten years in that very place.
The cyclone is shifting southeast over the state, drawing heavy rain and stable winds of about 120 km/hr (74 miles per hour).
Shortly before hitting the mainland, IIsa ran over Bedout Island, a small uninhabited island, where it undergoing wind speeds attained 218 kph (135 mph) in just 10 minutes.
Beating The Record Of Cyclone George
/stackumbrella/media/media_files/wp-content/uploads/2023/04/image-11.jpg)
The harm caused by the cyclone over Western Australia, nonetheless the winds have the capability to draw crucial damage to trees, buildings, power lines, and other infrastructures.
The executives were making plans to survey the harm from the air when it was secure enough to fly helicopters in that region.
/stackumbrella/media/media_files/wp-content/uploads/2023/04/image-12.jpg)
“There will undoubtedly be damage over the coastal areas where the crossing happened, but majorly the populated regions did escape the impact of the eye as it crossed the coast,” as per Sutton.
The Port Headland
/stackumbrella/media/media_files/wp-content/uploads/2023/04/image-13.jpg)
The Port Hedland is the largest bulk export port in the world, where big volumes of iron ore are filled and shipped to countries such as China, Japan, and South Korea.
Pilbara Ports Authority revealed that the port opened once again on Friday after safety examinations to check for any harm to the infrastructure.
Executives have alerted natives to tie down anything which may fly in the strong winds- caravans, trampolines, trailers, and any open objects.
/stackumbrella/media/media_files/wp-content/uploads/2023/04/image-14.jpg)
As the storm came over on Thursday, the coastal areas were on high alert, which means the people are required to stay in their place and shelter in buildings, far away from windows and doors.
/stackumbrella/media/agency_attachments/2026/02/03/2026-02-03t122236880z-logo_5ec00731b6678-2026-02-03-17-52-36.png)
Follow Us